Homlokzattisztítás miatt lesz forgalmi korlátozás a Kossuth Lajos utcában szombaton.
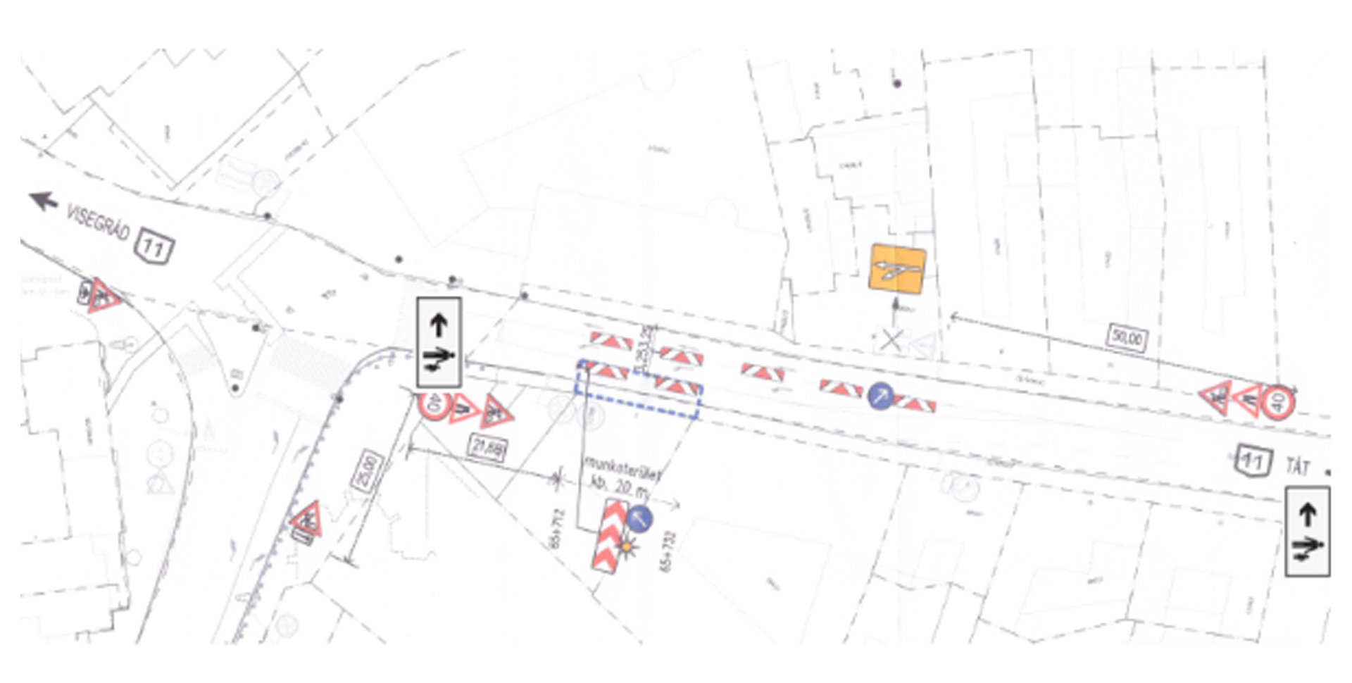
Esztergom Megyei Jogú Város Önkormányzata tájékoztatja a lakosságot, hogy 2024. április 6-án, szombaton 10 és 13 óra között a Kossuth Lajos utcán, (a 11. sz. főút 65+712 kmsz-től a 65+732 kmsz-ig, a „Vasbolt” oldalán) a jobb oldali útpályán kosaras autóról történő homlokzattisztítási munkálatok miatt, a Rákóczi tér és az Arany János utca közötti szakaszon a járda forgalma is korlátozás alá kerül biztonsági okok miatt!
A gyalogosforgalom a túloldalon (az „Erzsébet-ház” oldalán) akadálytalanul biztosított.
Forrás: esztergom.hu
